Public Hearing Notice
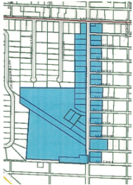
Map of Special Assessment District
NOTICE IS FURTHER GIVEN THAT the Township Supervisor of the Township of Dalton has made and certified a special assessment roll for the special assessment district, which roll sets forth the relative portion of the cost of said Improvements which is to be levied in the form of a special assessment against each benefitted lot and parcel of land in the special assessment district.
TAKE NOTICE THAT THE TOWNSHIP BOARD OF THE TOWNSHIP OF DALTON WILL HOLD A PUBLIC HEARING AT A REGULAR MEETING ON AUGUST 11TH, 2025, AT 6:00 P.M., AT THE DALTON TOWNSHIP HALL, 1616 EAST RILEY THOMPSON ROAD, MUSKEGON, MICHIGAN 49445, WITHIN THE TOWNSHIP, TO REVIEW THE SPECIAL ASSESSMENT ROLL AND TO HEAR AND CONSIDER ANY OBJECTIONS THERETO.
TAKE FURTHER NOTICE that the special assessment roll as prepared has been reported to the Township Board and is on file with the Township Clerk at the Township Hall for public examination.
TAKE FURTHER NOTICE THAT AN OWNER OR A PARTY IN INTEREST IN A LOT OR PARCEL OF LAND SUBJECT TO A SPECIAL ASSESSMENT MAY FILE A WRITTEN APPEAL OF THE SPECIAL ASSESSMENT WITH THE MICHIGAN TAX TRIBUNAL WITHIN THIRTY (30) DAYS AFTER THE DATE OF CONFIRMATION OF THE SPECIAL ASSESSMENT ROLL, BUT ONLY IF SAID OWNER OR PARTY IN INTEREST APPEARS AND PROTESTS THE SPECIAL ASSESSMENT AT THIS HEARING. An appearance may be made by an owner or party in interest, or his or her agent, in person or, in the alternative, an appearance or protest can be filed with the Township by letter prior to the hearing, in which case a personal appearance at the hearing is not required.
This Notice was authorized by the Township Board of the Township of Dalton.
Dated: July 14th, 2025
Amy l. Brown, Clerk
Township of Dalton

Instagram link
Twitter link
Twitter link